ID CP2856705

Casa Demolabila | Rediu | Teren 3278 mp | Posibiliate parcelare

ID CP2856705

163,900 €

Casă / Vilă cu 1 camere de vânzare
Rediu
170 mp
1950

Transylvania Imobiliare va ofera spre achizitie aceasta casa demolabila cu teren si anexe in localitatea Rediu.

Zona în care este construită este una linistita si beneficiaza de o continua creștere. Terenul este situat la sub 20 km de orașul Cluj Napoca.

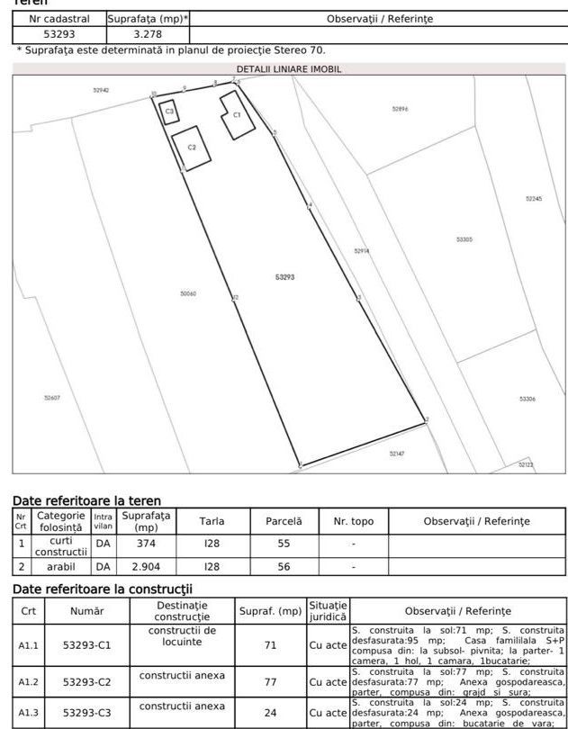
Proprietatea este amplasata pe un teren generos de 3300 de mp cu două fronturi stradale în suprafață de peste 180 ml.

Pe proprietatea se regaseste o casa și 2 anexe. Terenul oferă posibilitea de parcelare.

Toate actele sunt la zi si CF-ul este fara sarcini, in plus proprietatea beneficiaza de toate utilitatile.

Exista posibilitatea de achizitionare a 2300 de mp la 50EURO/MP

Pentru mai multe detalii nu ezitati sa ne contactati!

CP2856705

Citește mai mult

  • Număr camere
    1
  • Dormitoare
    1
  • Număr bucătării
    1
  • Număr băi
    1
  • Geam la baie
    Da
  • Număr locuri parcare
    10
  • Disponibilitate
    Imediat
  • Tip casă
    Individual
  • Stare interior
    Necesită renovare
  • Anul finisării
    1970
  • Suprafață utilă
    170 mp
  • Suprafață construită
    170 mp
  • Suprafață teren
    3,278 mp
  • Deschidere
    180 m
  • Acoperiș
    Țiglă
  • An construcție
    1950
  • Tip construcție
    Cărămidă
  • Număr etaje clădire
    1
  • Număr subsoluri
    1

Facilități

Apă
Apometre
Canalizare
CATV
Contor electric
Contor gaz
Curent
Gaz
Iluminat stradal
Internet
Mijloace de transport în comun
Străzi asfaltate
Telefon
Flaviu Baciu - Transylvania Imobiliare
Flaviu Baciu
Co-owner

0748155339


Solicită chiar acum o vizionare
Telefon
Sună acum Solicită vizionare
Necesare:

Site-ul nu poate funcționa corect fără aceste cookie-uri. Vezi cookie-urile

Statistică:

Strângem statistici anonime despre voi, vizitatorii unici, pentru a vă îmbunătăți experiența dumneavoastră. Vezi cookie-urile

Marketing:

Pentru a ne promova mai eficient serviciile noastre, folosim cookies pentru a vă identifica și a vă oferi proprietăți și servicii personalizate. Vezi cookie-urile

Acest site folosește cookies, află detalii. Alege ce tipuri de cookies dorești să permitem: